GuardianDelColacado
Veterano
- Registro
- 9 Feb 2013
- Mensajes
- 1.992
- Reacciones
- 2.093
Es un hilo trampa para destapar a todos los rojeras. Ya empiezan a salir las ratas.
Editado cobardemente:
Siga el video a continuación para ver cómo instalar nuestro sitio como una aplicación web en su pantalla de inicio.
Nota: Esta función puede no estar disponible en algunos navegadores.
Ojalá tuviera patatas fritas ahora![]()
Para moverme estoy yo. Prefiero morir de hambre. Es una cuestión de principios, si las patatas no vienen a mi, a tomar por culo todo.Mueve el culo y las compras.
Veamos. Tú, como los subnormales "influencers" del "que sí, que me confirman que en aparcamiento del centro comercial hay miles de cuerpos dentro de los coches", estáis convencidos de que el Estado lo ha ocultado pasando por encima de miles de familias, miles de abogados, sanitarios, bomberos, electricistas, podólogos, y jardineros a los que han comprado con puestos en la administración pública o directamente, puestos en la ONCE o con sobra marrones menos de panoja, no? Ya. Y vuestros tutores legales no os han explicado la diferencia entre "lo que sueñas mientras te meas en la cama y la realidad?"
No dais para más.
En cuanto a la vivienda, la idea del Halieníjena de inundar el mercado con vivienda pública barata e intocable, va en la línea. Un tope máximo de renta para acceder a ella y a tomar por culo los especuladores.
La idea del amigo más fascista y más tonto, si cabe, que Morzhilla, ya da hasta grima. O sea, tía, o sea, echar a los inmigrantes que no quieren trabajar - echar a los inmigrantes que delinquen - echar a los inmigrantes que dicen ser menas pero no lo son - echar a los inmigrantes que a lo único que aspiran es a cobrar paguitas engañando a la administración si es menester y obligar a los españoles a trabajar en los invernaderos. Pero es que no veo a miles de jóvenes ultraderechistas y sanotes haciendo cola para trabajar en lo que sea, ya no digamos en los invernaderos. No son/sois tan patriotas? Pues os vais a Almería y le decís al patrón, YO LO HAGO POR LA MITAD Y POR ESPAÑA!
A tomar por culo. Os están usando como carne de cañón mientras ellos se descojonan en sus áticos de millón de pavos.
Doble lástima.
Para moverme estoy yo. Prefiero morir de hambre. Es una cuestión de principios, si las patatas no vienen a mi, a tomar por culo todo.
la escala empieza en enfadado y sigue hasta extremadamente enfadado rozando asíntotas.
Pon fotos, número de teléfono y sexperience y déjate de tormentas y mierdas.
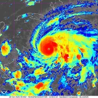
qué altura tiene ese nubazo ? que sin referencias no se hace uno una idea
qué altura tiene ese nubazo ? que sin referencias no se hace uno una idea
qué altura tiene ese nubazo ? que sin referencias no se hace uno una idea

Tan alto como para que arriba del todo la nube este a -90 grados. Ni idea la verdad, pero se me hizo curioso este dato


Pinta chungo, por lo que parece. "Tormenta del siglo. Catástrofe. "
¿Eso lo dicen en la tele, viejo de mierda? ¿No has aprendido que la prensa es lo más criminal que hay en nuestro tiempo?
Infórmate por el foro, hijo de puta, que no me extraña que luego sueltes las tonterías que sueltas.
Utilizamos cookies esenciales para que este sitio funcione, y cookies opcionales para mejorar tu experiencia.